Enlaces de accesibilidad

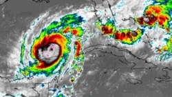
En el Guayabo, Pinar del Río, no han sentido los embates de Milton


En el Guayabo, Pinar del Río, no han sentido los embates de Milton
please wait

No media source currently available

0:00 0:00:52 0:00

Residentes de la comunidad El Guayabo, a pocos kilómetros de la ciudad de Pinar del Rio, no han sentido la intensidad del huracán Milton, cuya trayectoria se encuentra en mares próximos al occidente de Cuba, dijo a Martí Noticias la activista Daudi Hermelo quien allí reside.

Foro

XS
SM
MD
LG